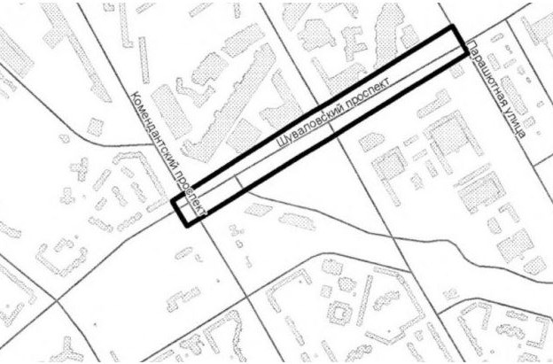
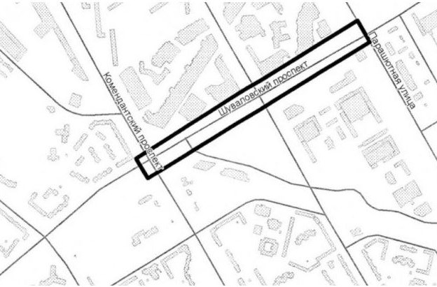
Строительство продолжения Шуваловского проспекта

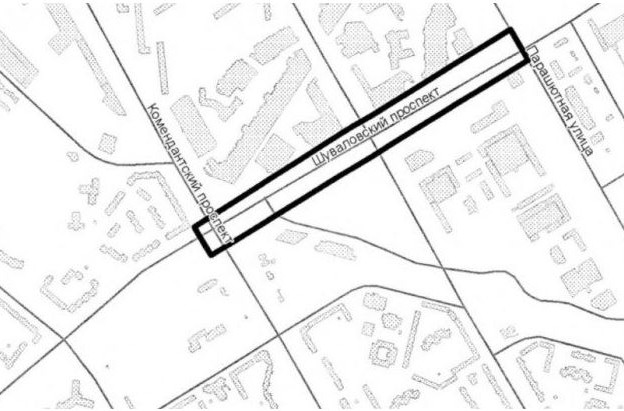
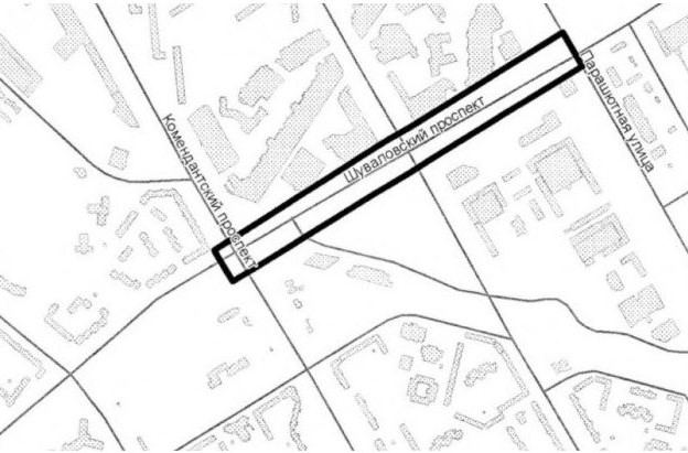
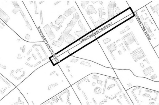
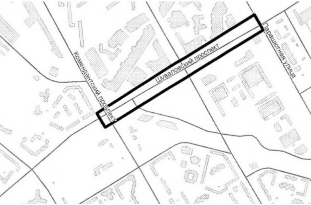
Комитет по градостроительству и архитектуре (КГА) выпустил распоряжение о подготовке проекта планировки территории для размещения линейного объекта — Шуваловского проспекта.

Речь идёт о недостающем участке городской магистрали от Комендантского проспекта до Парашютной улицы в Приморском районе города.

До конца нынешнего года должен быть построен съезд на Шуваловский проспект с Западного скоростного диаметра. По ожиданиям Смольного, новая развязка позволит существенно разгрузить улицы Савушкина и Планерную. Также новый объект должен избавить автомобилистов от пробок перед развязкой с Богатырским проспектом. В будущем, после пробивки Шуваловского проспекта до Приморского шоссе, новая развязка создаст дополнительный выезд на север Петербурга.


Реализация национальных проектов

• Автомобильные дороги


Начало работ

сентября 2021


Назначение

Транспортная инфраструктура / Автомобильные дороги и городской транспорт


Вид строительства

Новое строительство


Адрес

Санкт-Петербург,
участок городской магистрали от Комендантского проспекта до Парашютной улицы


Заказчики

Комитет по развитию транспортной инфраструктуры Санкт-Петербурга

Поделиться в социальных сетях

Подрядчики


Стройматериалы